Efusão pleural em gatos - Causas, sintomas e tratamento
Ver fichas de Gatos
A efusão pleural é um acúmulo de líquidos de vários tipos no espaço pleural dos gatos. O espaço pleural, por sua vez, é o espaço entre os dois pleurais em felinos, que cobrem o pulmão e ajudam a respirar. Por esta razão, um acúmulo anormal de líquido nesta cavidade causa desconforto respiratório aos gatos, levando à agitação e ao aumento da frequência respiratória. A efusão pleural é mais um sinal clínico de outras doenças felinas e processos patológicos do que uma doença em si, portanto, um bom diagnóstico é a chave para descobrir a origem da efusão e a análise do líquido, o que, entre outros testes diagnósticos, ajuda a descobrí-lo.
Se você quiser saber mais sobre a efusão pleural em gatos, suas causas, sintomas e tratamento, não deixe de ler este artigo do PeritoAnimal.
O que é a efusão pleural
A efusão pleural é um acúmulo anormal de fluido de várias naturezas no espaço pleural, que é o espaço entre a pleura visceral (a membrana que reveste os pulmões) e a pleura parietal (a membrana que reveste as paredes do peito, mediastino e diafragma) e que naturalmente contém uma quantidade mínima de fluido para lubrificar os pulmões durante os movimentos respiratórios.
Um problema na produção ou eliminação deste fluido causa um acúmulo excessivo de fluido no espaço pleural, resultando em uma restrição do movimento pulmonar durante a inspiração (expansão pulmonar) que pode causar o colapso dos lóbulos do pulmão.
Em geral, a efusão pleural em gatos pode ser causada por um dos seguintes mecanismos:
- Aumento da permeabilidade capilar.
- Redução da pressão capilar oncótica..
- Aumento da pressão hidrostática dos capilares..
- Obstrução linfática.
Tipos de efusão pleural em gatos
A efusão pleural em gatos pode ser de vários tipos, dependendo da natureza do fluido acumulado no espaço pleural. O fluido deve ser analisado e, de acordo com uma série de características e parâmetros, pode ser dividido nos seguintes tipos:
- Efusão pleural transudato pura: a cor do fluido é clara ou amarelada, com uma baixa quantidade de proteína (<2,5 g/dl), sem fibrina e baixa celularidade (<1.000 células/microlitro).
- Efusão pleural transudato modificada: apresenta uma cor amarelo-rosada, um pouco turva, com uma quantidade de proteína entre 2,5 e 5 g/dl, sem fibrina, triglicérides ou bactérias e com uma contagem de células de 1.000-15.000 células/microlitro (atingindo 100.000 se produzidas por linfossarcoma) e com células mesoteliais, neutrófilos não degenerados e células neoplásicas em linfossarcoma. Você também pode se interessar em dar uma olhada neste outro post do PeritoAnimal sobre o linfoma em cachorros, seu tratamento e expectativa de vida.
- Efusão pleural de exsudato inflamatório: com a mesma cor que a anterior, a quantidade de proteína é de 2,5-6 g/dl, chegando mesmo a 8,5 g/dl no caso de FIP e presença de fibrina mas sem triglicérides ou bactérias e um conteúdo celular de 1.000-20.000 células/microlitro (chegando a 100.000 se produzido por linfossarcoma) e com neutrófilos não degenerados, macrófagos e células neoplásicas em tumores.
- Efusão pleural do exsudato séptico: de cor marrom-amarelada, turva ou opaca, a proteína total é de 3-7 g/dl e contém fibrina, bactérias mas não triglicérides. A contagem de células é de 5.000-300.000 células/microlitro e contém neutrófilos degenerados, macrófagos e bactérias.
- Efusão linfocítica pleural: a cor neste caso é branca leitosa (embora às vezes possa ser rosa-avermelhada) com uma quantidade de proteína de 2,5-6 g/dl e com fibrina, triglicérides e sem bactérias. O conteúdo celular é de 500-20.000 células/microlitro e geralmente contém linfócitos, neutrófilos e macrófagos.
- Efusão pleural do sangue: a cor é vermelha e opaca, com mais de 3 g/dl de proteína e com fibrina mas sem triglicérides ou bactérias, com uma contagem de células semelhante ao sangue periférico e com glóbulos vermelhos e alguns glóbulos brancos.
Causas da efusão pleural em gatos
Há muitas causas de acúmulo de fluidos no espaço pleural dos gatos. Em geral, qualquer uma das seguintes doenças e distúrbios pode causar efusão pleural em felinos:
- Doença hepática: devido ao desenvolvimento de hipoproteinemia que reduz a pressão oncótica e permite que o líquido vaze e se acumule no espaço pleural.
- Doença renal (glomerulonefritis): devido à perda de proteína na urina. Descubra aqui 4 sintomas da insufiência renal em gatos.
- Enteropatia: devido à perda de proteínas no intestino.
- Cardiomiopatía congestiva: para insuficiência cardíaca congestiva em doenças tais como defeitos cardíacos congênitos, dirofilariose felina, cardiomiopatia hipertrófica ou doenças do pericárdio. Você pode encontrar mais informações sobre cardiomiopatia hipertrófica felina, seus sintomas e tratamento neste outro post do PeritoAnimal.
- Peritonite infecciosa felina úmida (FIP): Peritonite infecciosa felina úmida (FIP): devido à vasculite imune, causando danos ao endotélio dos vasos sanguíneos e saída de proteínas e soro dos capilares. O exsudato é fibrinoso não-séptico (não-bacteriano). Para saber mais sobre a peritonite infecciosa felina (FIP), seus sintomas e tratamento, não deixe de consultar este artigo.
- Infecções bacterianas: pode causar acúmulo de pus (pyothorax) devido à entrada de bactérias através de picadas e feridas, perfuração do esôfago ou da traqueia, extensão da pneumonia, penetração de espigões, infecção periodontal grave, etc..
- Tumores no mediastino: tais como linfossarcoma, timoma, hemangiossarcoma ou tumores mamários.
- Tumor no pulmão (adenocarcinoma): primário ou secundário por metástase de outro local.
- Hérnia diafragmática: devido a trauma ou acidente que a tenha produzido.
- Torção do lóbulo pulmonar médio direito ou esquerdo.
- Trauma torácico: devido a lesão pulmonar ou ruptura de vasos sanguíneos no tórax, causando efusão pleural de sangue (hemotórax), bem como intoxicação por veneno de rato (coagulopatia).
Sintomas da efusão pleural em gatos
Os sinais clínicos de efusão pleural em gatos são geralmente os seguintes:
- Dispneia ou falta de ar.
- Redução dos sons pulmonares devido ao fluido.
- Aumento da frequência respiratória ou taquipneia.
- Tosse: para mais informações sobre tosse em gatos, sintomas, causas e tratamento, leia este post que te sugerimos.
- Intolerância ao esforço físico.
- Anorexia e perda de peso
Além disso, dependendo da doença ou condição que a causou, o gato terá sintomas associados ao processo. Por exemplo:
- Nos distúrbios que levam à insuficiência cardíaca congestiva: os gatos também terão hipotermia, pulso fraco e distensão da veia jugular, assim como podem apresentar aumento no tamanho do fígado e ascite.
- Em casos de peritonite infecciosa felina: podem apresentar depressão, febre e icterícia (amarelamento das mucosas), sinais neurológicos e oculares. Sugerimos que você consulte este artigo para saber mais: Meu gato está deprimido, as causas, sintomas e tratamentos.
- No caso de tumores mediastinais: regurgitação e disfagia também podem aparecer devido à compressão do esôfago, síndrome de Horner se a cadeia simpática for comprimida, edema no pescoço e cabeça se a veia cava cranial for comprimida, redução dos sons cardíacos e pulmonares e distensão da veia jugular. Se você não conhecia a Síndrome de Horner em gatos, suas causas e tratamento, deixamos este artigo para você conhecer mais.
- No caso da glomerulonefrite: os gatos apresentarão sinais de insuficiência renal, como aumento da micção e da ingestão de água, membranas mucosas pálidas, vômitos ou síndrome urêmica, entre outros.
- Em caso de doença hepática: pode ser observada icterícia, aumento das enzimas hepáticas e ascite e, em caso de enteropatia por perda de proteínas, também pode ser observada edema e ascite, bem como doença tromboembólica devido à perda de antitrombina a nível intestinal.
Diagnóstico de efusão pleural em gatos
A primeira coisa a fazer é uma anamnese completa, questionando o tutor do gato doente e um exame físico do gato para sinais clínicos, condição corporal, respiração, auscultação e estado mental.
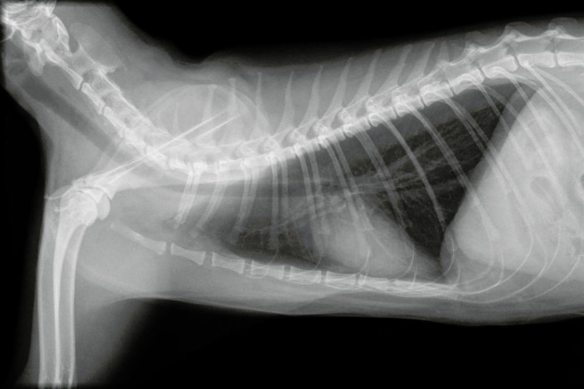
Sintomas como falta de ar, taquipneia e sons pulmonares reduzidos tornam altamente provável um diagnóstico de efusão pleural. Uma radiografia pode revelar a presença de fluido no espaço pleural, pois impede a visualização normal dos pulmões, e o ultrassom pode ser usado na suspeita ou para deduzir que tipo de fluido é (transudado, sangue, linfa, pus), com informações claras sendo obtidas pela análise do fluido após toracocentese por contagem de células, citologia e bioquímica. Em caso de suspeita de infecção, o fluido deve ser colhido.
Outras formas de diagnóstico de efusão pleural em gatos são:
- Eletrocardiograma - para avaliar o funcionamento do coração e detectar arritmias e testes do vírus FIP em casos de suspeita de doença infecciosa.
- Exames de sangue, bioquímica e de urina: são essenciais para descartar causas renais, hepáticas ou digestivas e para observar o estado geral de saúde do gato.
Tratamento de efusão pleural em gatos
A terapia para efusão pleural dependerá da causa da efusão. Mesmo assim, o tratamento de emergência inclui oxigenoterapia devido a problemas respiratórios, toracocentese ou perfuração do espaço pleural para drenar o líquido e, ao mesmo tempo, colher amostras para análise e diuréticos como furosemida ou espironolactona para reduzir o estresse do gato, embora isso dependa da origem da causa.
- Nos tumores: deve ser utilizada quimioterapia e, para alguns tumores, hérnias diafragmáticas e torção do lóbulo pulmonar, o tratamento deve ser cirúrgico.
- No caso de piotórax: a infecção que está causando o acúmulo de pus no espaço pleural deve ser tratada com antibióticos. No quilotórax devido ao acúmulo de linfa no espaço pleural, o quilo deve ser drenado frequentemente por toracocentese ou pela colocação de um tubo de drenagem no gato. Se isto não for eficaz, o tratamento cirúrgico com ligadura do ducto torácico deve ser considerado após a drenagem da linfa da cavidade pleural.
Se a falha cardíaca for evidente, drogas como nitroglicerina ou digoxina podem ser usadas além de diuréticos e oxigênio. Nas doenças renais, hepáticas e intestinais, uma terapia eficaz deve ser adaptada para controlar essas patologias.
Sequelas de efusão pleural em gatos
A efusão pleural em gatos pode deixar sequelas, embora, geralmente, com terapia e diagnóstico adequado do problema, os gatos mantenham sua saúde e qualidade de vida como antes da efusão. As principais sequelas de efusão pleural em gatos incluem:
- Dano a nível do pulmão como um edema pulmonar.
- Infecção mal sanada que se desenvolve em um abscesso crônico chamado empiema.
- Presença de ar na cavidade torácica ou pneumotórax após a toracocentese.
Este artigo é meramente informativo, no PeritoAnimal.com.br não temos capacidade para receitar tratamentos veterinários nem realizar nenhum tipo de diagnóstico. Sugerimos-lhe que leve o seu animal de estimação ao veterinário no caso de apresentar qualquer tipo de condição ou mal-estar.
Se pretende ler mais artigos parecidos a Efusão pleural em gatos - Causas, sintomas e tratamento, recomendamos que entre na nossa categoria de Doenças respiratórias.
- Aybar, V.; Casamián, D.; Cerón, J. J.; Clemente, F.; Fatjó, J.; Lloret, A.; Luján, A.; Novellas, R.; Pérez, D.; Silva, S.; Smith, K.; Tegles, F.; Vega, J.; Zanna, G. (2018). Manual Clínico de Medicina Felina. Ed.SM Publishing LTD. Sheffield, UK.
